Property Detail

7199 Grand

Yucca Valley CA 92284

$67,777

Status: Active

Property Details

Description

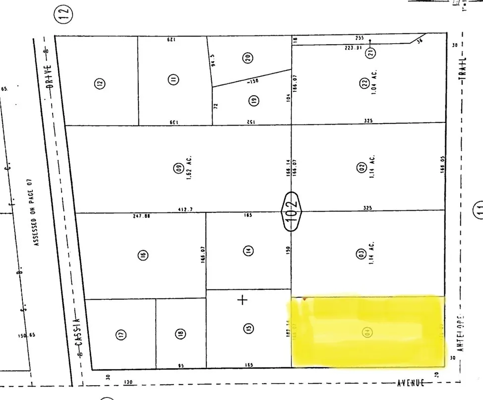
Great Corner Lot 0.92 Acre Downtown Yucca Valley location, close to Twentynine Palms Hwy, with utilities (gas and electric available). Builder ready, buyer to verify all with city, may have Variance in Zoning to divide into multiple lots. Shopping within walking distance. Just minutes to Joshua Tree National Park.

Map Location

Listing provided courtesy of Lucy Limbasan of Lucy Limbasan, Broker. Last updated . Listing information © 2025 PACIFICSOTHEBYSFULLSANDICORCOMBINED.

Marlene Kindt

Marlene Kindt

CA DRE #02087349
Brokerage DRE#
Inquire Now
realestateisgreat! Real estate 9:00 AM - 7:00 PM 9:00 AM - 7:00 PM 9:00 AM - 7:00 PM 9:00 AM - 7:00 PM 9:00 AM - 7:00 PM 9:00 AM - 7:00 PM 9:00 AM - 7:00 PM https://static.royacdn.com/Site-6432d720-bcd9-459c-9a8e-73f9891ae0d5/Assets/marlene_kindt_headshot_min.jpg Realtor® # # # https://static.royacdn.com/Site-6432d720-bcd9-459c-9a8e-73f9891ae0d5/Assets/marlene_kindt_headshot_min.jpg Keller Williams La Jolla 7979 Ivanhoe Avenue, Suite 350 La Jolla, CA 92037 02087349 697810 01932411 https://www.realtor.com/realestateagents/5de6d3955e36820013979742 01932411 8584579400