Property Detail

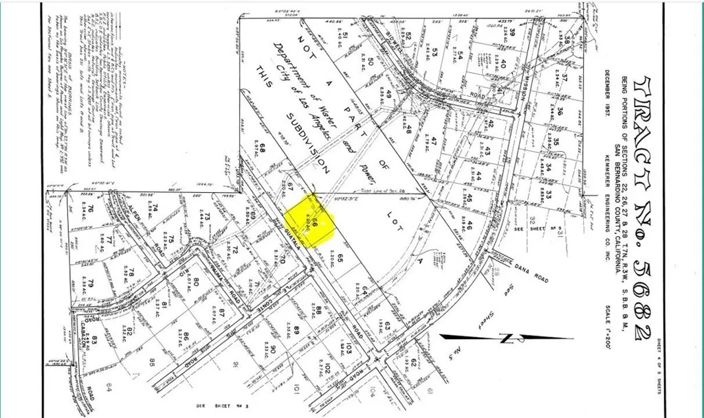
Guatala Rd.

Barstow CA 92311

$24,350

Status: Active

Property Details

Description

This is about 2.2 acre lot located between Wild Wash Rd and Dale Evans Pkwy. between Victorville and Barstow , it seems to be in the Apple Valley unincorporated area in San Bernardino County. May be a nice place to ride your off Road vehicles, Camping, etc; As permitted by S.B. county. Power lines are along Willow Springs Rd, but not on property. This is a Rural area. No utilities available nearby. May use for recreational purposes or to live off the grid. Some occupied Manufactured homes within the area. This lot is about 3.0 Miles of dirt rd. from Paved Rd. Dale Evans Pkwy. Buyer must verify all information regarding the property including, square Footage, Property Boundaries, Zoning, permitted Uses, Utilities availability and Costs, Etc; with the appropriate agencies. Property has not been surveyed and seller will not pay for a survey. Information herein was obtained from sources we deem reliable, but no guarantee of any kind is herein made or implied by seller / agents.

Map Location

Listing provided courtesy of Ricardo Pelayo of Hesperia Real Estate & Loans. Last updated . Listing information © 2025 PACIFICSOTHEBYSFULLSANDICORCOMBINED.

Marlene Kindt

Marlene Kindt

CA DRE #02087349
Brokerage DRE#
Inquire Now
realestateisgreat! Real estate 9:00 AM - 7:00 PM 9:00 AM - 7:00 PM 9:00 AM - 7:00 PM 9:00 AM - 7:00 PM 9:00 AM - 7:00 PM 9:00 AM - 7:00 PM 9:00 AM - 7:00 PM https://static.royacdn.com/Site-6432d720-bcd9-459c-9a8e-73f9891ae0d5/Assets/marlene_kindt_headshot_min.jpg Realtor® # # # https://static.royacdn.com/Site-6432d720-bcd9-459c-9a8e-73f9891ae0d5/Assets/marlene_kindt_headshot_min.jpg Keller Williams La Jolla 7979 Ivanhoe Avenue, Suite 350 La Jolla, CA 92037 02087349 697810 01932411 https://www.realtor.com/realestateagents/5de6d3955e36820013979742 01932411 8584579400