Property Detail

Pearblossom Highway

Littlerock CA 93543

$95,000

Status: Pending

Property Details

Description

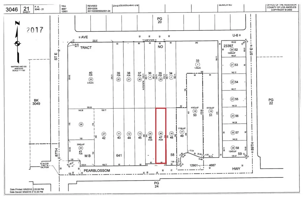
APN: 3046-021-036 Coordinates: 34.521389, -117.973000 Commercial lot for sale in LA county. This lot is 18,958 sq ft and located in Littlerock, CA. This area is rapidly growing area of LA county with many housing and commercial developments in recent years. The property is located right on a vital route in and out of the Antelope valley, Pearblossom Highway. Excellent property for future development or investment. Adjacent lot is also for sale, APN: 3046-021-035

Map Location

Listing provided courtesy of NYDIA DEL RIO of HOME & LAND SOURCE. Last updated . Listing information © 2025 PACIFICSOTHEBYSFULLSANDICORCOMBINED.

Marlene Kindt

Marlene Kindt

CA DRE #02087349
Brokerage DRE#
Inquire Now
realestateisgreat! Real estate 9:00 AM - 7:00 PM 9:00 AM - 7:00 PM 9:00 AM - 7:00 PM 9:00 AM - 7:00 PM 9:00 AM - 7:00 PM 9:00 AM - 7:00 PM 9:00 AM - 7:00 PM https://static.royacdn.com/Site-6432d720-bcd9-459c-9a8e-73f9891ae0d5/Assets/marlene_kindt_headshot_min.jpg Realtor® # # # https://static.royacdn.com/Site-6432d720-bcd9-459c-9a8e-73f9891ae0d5/Assets/marlene_kindt_headshot_min.jpg Keller Williams La Jolla 7979 Ivanhoe Avenue, Suite 350 La Jolla, CA 92037 02087349 697810 01932411 https://www.realtor.com/realestateagents/5de6d3955e36820013979742 01932411 8584579400